What we're covering
• NOW: Hurricane Melissa has made landfall near New Hope, Jamaica, as a 185 mph Category 5 storm, according to the National Hurricane Center. It will track directly over the island for the next few hours, bringing catastrophic winds, flooding rain and life-threatening storm surge.
• Storm of the century: Melissa will cause “catastrophic damage,” Jamaican Prime Minister Andrew Holness told CNN. The nation has never taken a hit from a Category 5, with a UN agency describing it as the “storm of the century.”
• Already deadly: Melissa is responsible for seven deaths — three in Jamaica during storm preparations, three in Haiti and one in the Dominican Republic.
Melissa's name will be up for retirement
This is likely the last time “Melissa” will be used as Atlantic storm name.
Name lists for tropical storms and hurricanes are reused every six years. The exception is if a storm is so deadly or damaging that its name is retired by a World Meteorological Organization committee the following year. Those individual names are then replaced with new ones beginning with the same letter, while the rest of the six-year rotating list remains the same.
Melissa’s rampage through the Caribbean, including a destructive Category 5 landfall in Jamaica, make it a candidate for retirement.
Melissa was first used as a name in 2007. It replaced “Michelle”, which was retired following Category 4 Hurricane Michelle in the 2001 season.
Last year, three hurricane names were retired: Beryl, Helene and Milton.
Groups spring into action for food and other means of aid, as relief flights could begin Thursday
Several organizations and authorities have sprung into action as Hurricane Melissa made landfall around 1 p.m. ET Tuesday near New Hope, Jamaica, as a Category 5 storm with 185 mph winds.
Daryl Vaz, Jamaica’s Minister of Science, Energy, Telecommunications and Transport, “has announced that emergency relief flights could be accommodated at NMIA as early as October 30, 2025, provided there is no extensive damage from Hurricane Melissa, which is expected to leave the island by Wednesday,” according to a post on X from the Jamaica Information Service.
The UK said it is positioning “rapid deployment teams” in the region to support British nationals and is preparing to deliver humanitarian assistance to those in need.
British Foreign Secretary Yvette Cooper said the government is “closely tracking” the impact of Melissa and stands “ready to mobilise resources to support British nationals and Jamaica, at its request.”
World Central Kitchen said in a post on X that its partner, “Mystic Thai prepared meals ahead of Hurricane Melissa’s arrival,” – a comforting plate of curry chicken with rice and salad.
Melissa losing some strength but remains a violent Category 5
Hurricane Melissa’s wind speed has decreased as it tracks deeper into Jamaica Tuesday afternoon. As of 2 p.m. ET, the hurricane’s maximum winds are at 165 mph, down 20 mph from just an hour ago, according to the National Hurricane Center.
Hurricanes are fueled by water, so any interaction with land starts to degrade them. But Melissa is so powerful, that drop in wind speed does not significantly affect its impact.
Catastrophic winds, flash flooding and storm surge are occurring on Jamaica, the hurricane center warned.
What happened and what's next: Here's the latest on Hurricane Melissa
Hurricane Melissa just made landfall in Jamaica as a Category 5 storm. Officials are warning it could bring catastrophic damage to the country.
Here’s a quick rundown of what to know:
- What the hurricane is like: Melissa made landfall at around 1 p.m. ET near New Hope, Jamaica. Its 185 mph winds make it the strongest storm on record to smash into the country. Melissa is also tied as the second-strongest hurricane in Atlantic history, in terms of wind speed.
- What’s coming next: Melissa will track directly over Jamaica for the next few hours, bringing catastrophic winds, flooding rain and life-threatening storm surge. Central parts of Jamaica could see as much as 30 inches of rain over the next two days, said Evan Thompson, principal director of Jamaica’s Meteorological Service.
- What’s to expect after that: Melissa is expected to remain a major hurricane, at least Category 3 or more, when it impacts Cuba starting Tuesday night into Wednesday morning, according to the National Hurricane Center. Then, hurricane conditions are expected in the southeastern and central Bahamas on Wednesday.
- What it’s been like on the ground: Even before landfall, hurricane conditions were already pummeling the island. About 240,000 people were without power before landfall as the grid was strained, said Daryl Vaz, Jamaica’s Minister for Science, Energy, Telecommunications and Transport.
- What people are saying: A restaurant owner in the village of Alligator Pond on the southwestern coast of Jamaica said the “whole coastline is gone.” Many communities have been evacuated, but others say they are riding out of the storm. Brian Trascher, of the United Cajun Navy, said conditions were “deteriorating rapidly” ahead of landfall.
- What we know about fatalities: At least three people died during storm preparations in Jamaica, according to the national minister of health and wellness. Two of the deaths are from falling trees, and one person was electrocuted, the minister said. Another 13 people have been injured. Three people in Haiti and one person in the Dominican Republic have also lost their lives.
CNN’s Char Reck, Christian Edwards, Chris Dolce, Mary Gilbert, Michael Rios and Taylor Ward contributed reporting to this post.
Watch Hurricane Melissa make landfall
In the loop above, Category 5 Hurricane Melissa approaches, then makes landfall in western Jamaica.
The hurricane’s clear eye – its center – is surrounded by its most powerful winds, called the eyewall. Those destructive winds roared onto land well ahead of landfall.
Landfall officially occurred once at least half of the clear eye moved onto Jamaica.
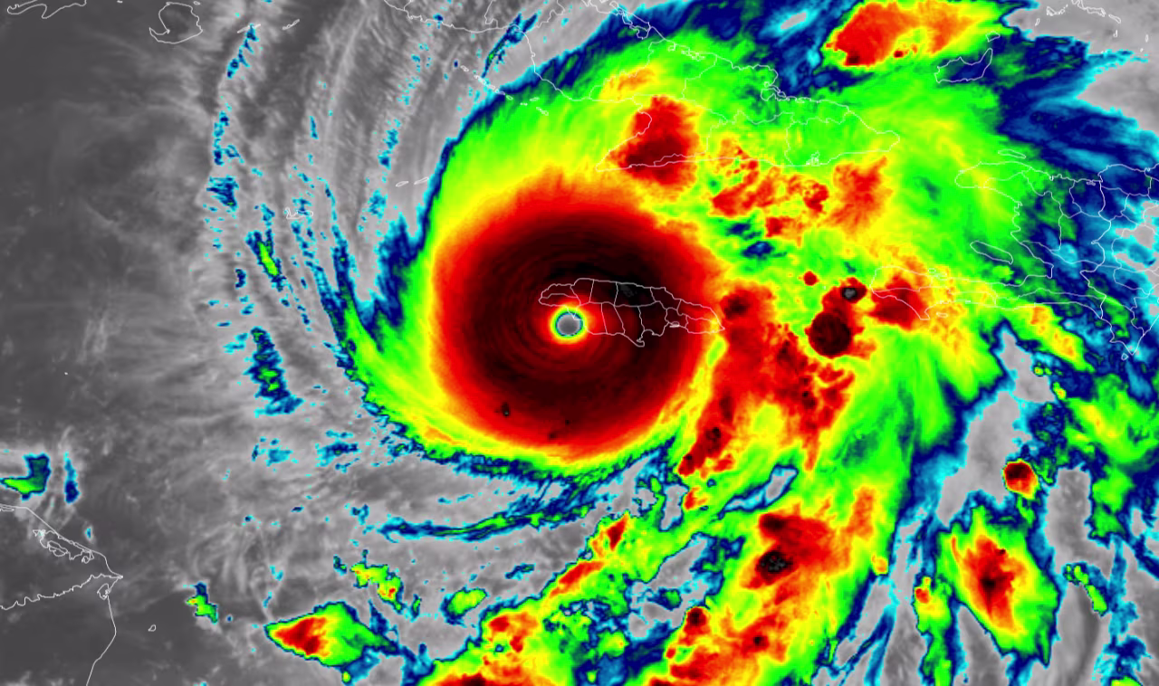
Melissa makes landfall in Jamaica as a destructive Category 5 hurricane
Hurricane Melissa made landfall around 1 p.m. ET Tuesday near New Hope, Jamaica, as a Category 5 storm, according to the National Hurricane Center.
The hurricane’s winds of 185 mph at the time make it the strongest storm on record to smash into the country. Melissa is also one of the strongest hurricanes on record to make landfall in the Atlantic basin, tied with only two other storms — 2019’s Dorian and 1935’s Labor Day hurricane.
Melissa is the strongest storm to make landfall anywhere in the Atlantic basin since 2019’s Hurricane Dorian. Dorian had winds of 185 mph when it slammed into the Bahamas’ Abaco Islands.
Previously, the strongest storm to make landfall in Jamaica was 1988’s devastating Hurricane Gilbert. Gilbert was a Category 4 hurricane when it made landfall just west of Kingston.
Melissa will track directly over Jamaica for the next few hours, bringing catastrophic winds, flooding rain and life-threatening storm surge. Its center is currently moving north-northeast at 9 mph.
Hurricane Hunters encounter "heavy turbulence"
Air Force Reserve Hurricane Hunters encountered “heavy turbulence” this morning while entering the eye of Category 5 Melissa.
“During the event, the aircraft briefly experienced forces stronger than normal due to turbulence,” the unit said in a statement posted on X.
The flight was returning to a base in the southern Caribbean nation of Curaçao, where the flight began, for inspection as a standard safety procedure before returning to service.
Yesterday, a NOAA Hurricane Hunter flight cut short its mission and returned to base for inspection after encountering severe turbulence.
Hurricane Melissa will bring "catastrophic damage," Jamaica's PM tells CNN

Hurricane Melissa will cause “catastrophic damage” to Jamaica, Prime Minister Andrew Holness said Tuesday before the Category 5 storm made landfall.
“And for Jamaica, a category five hurricane, particularly where the impact is direct, and in the area of impact, there will be catastrophic damage,” he continued.
The south of Jamaica will be particularly impacted by the storm, Holness said.
Jamaica has received support from the Caribbean Community, the United States, the European Union, France, the United Kingdom and others, Holness said, adding that he had received a note from US Secretary of State Marco Rubio while talking to CNN.
Melissa could strip trees bare

Hurricanes with ferocious winds like Melissa strip leaves from trees, or down trees and branches entirely, making the once lush green forests of the tropics look bare and brown from the ground and space.
Hurricane Maria’s 155 mph Category 4 strike on Puerto Rico in 2017 hit forests in the island’s higher elevations particularly hard.
The striking difference is seen in satellite image above which shows the brown defoliated areas in the mountainous terrain of El Yunque National Forest three weeks later.
Many forests in Puerto Rico recovered quickly and turned green once again since about 87% of tree trunks were left standing in Maria’s wake, according to NASA.
A similar situation could play out in parts of Jamaica since its mountainous terrain will encounter some of the strongest winds like Puerto Rico saw in Maria.
Melissa's landfall is imminent, but hasn't happened yet

Melissa’s eye — the storm’s center — is starting to come ashore in Jamaica, but the storm has not yet made landfall. The Category 5 hurricane has winds of 185 mph as of 12 p.m. ET, according to the National Hurricane Center.
Landfall will officially occur once at least half of the eye is over land, likely in the next hour or two.
The center is 30 miles southeast of Negril, Jamaica, and Melissa is moving to the north-northeast at 9 mph.
"I’d like to get home to my children,” says stranded US mother
A US mother stranded at a hotel in Lucea, close to Montego Bay, said she’s hunkering down in her room and waiting for Melissa to make landfall.
With planes grounded and airports closed, a way home is unclear for Morgan, who said she tried for hours to find a flight ahead of the hurricane.
“There were no flights available until Friday 31 and then slowly flights would open up…They’ve been opening and then being canceled as well…It’s been a hot potato situation,” she said.
The vacationer commended the hotel for doing a great job keeping guests safe, fed and well-informed. “They’ve been trying to communicate as much as they can while the phones are still working,” she said.
According to Morgan, the landscape is growing more ominous as the eye of the storm draws nearer. “The waters are choppy,” she said, “It’s a gray blast outside…The wind is just out of control… There is no sign of life whatsoever outside.”
"The whole coastline is gone," says local business owner, expressing regret he didn't evacuate earlier
A restaurant owner in the village of Alligator Pond on the southwestern coast of Jamaica described scenes of panic and devastation today as Hurricane Melissa batters the community.
Evrol Christian spoke to CNN’s Zain Asher via telephone as he attempted to evacuate his home and reach higher ground, a decision he said he wished he’d made earlier.
While on the phone, the fierce winds could be heard as Christian described the scene: “The sea level is coming over the wall and we’re in serious trouble,” he said before urging others listening in Alligator Pond to take the hurricane seriously and leave immediately.
“The whole coastline is gone,” Christian said, “The waves are as high as around 15 feet. And the wind speed, presently, it’s like I can see the wind. It’s unbelievable,” he added.
As Melissa nears landfall, Jamaica’s electricity grid is already straining
Jamaica experienced several power outages under hurricane conditions before Melissa made landfall, said Daryl Vaz, Jamaica’s Minister for Science, Energy, Telecommunications and Transport.
The electricity grid managed by Jamaica Public Service (JPS), the country’s only electricity provider, “has already been impacted by hurricane conditions, which have caused several power outages across the island,” Vaz said Tuesday at a news conference.
Around 35% of JPS customers – some 240,000 people – were without power before landfall, Vaz said.
Most hospitals on the island are still receiving power, except those in the southwestern parishes of Manchester and St. Elizabeth, which are running on standby generator power, he said.
JPS crews are working on restoring power where it is safe to do so, Vaz added.
Melissa about to make landfall

Hurricane Melissa is about to make landfall in Jamaica, according to the 11 a.m. ET advisory.
Melissa is centered 40 miles southeast of Negril, Jamaica, and is tracking north-northeast at 9 mph. Maximum sustained winds remain 185 mph.
Landfall is expected “in a couple of hours,” the hurricane center said.
Catastrophic winds, flash flooding and storm surge are already pummeling the island and those impacts will continue through the afternoon.
Jamaica’s central parishes most at risk from heavy rainfall, says meteorologist
Jamaica’s central parishes are most at risk from the heavy rainfall of Hurricane Melissa when it makes landfall, according to Evan Thompson, principal director of Jamaica’s Meteorological Service.
The latest forecast estimates that central parts of Jamaica could see as much as 75 centimeters (around 30 inches) of rain over the next two days, he said, warning of grim consequences.
We have to recover as soon as possible, Kingston mayor says
Kingston Mayor Andrew Swaby said Jamaica is braced for catastrophe but ready to bounce back immediately.
The mayor said the effort to minimize damage has been a collaborative one, with multiple agencies and neigboring countries pooling resources to protect the island from long-term devastation.
While damage control has been ramped up since news of Melissa, planning has been taking place since the beginning of this hurricane season back in June.
This is what Jamaica looks like as Melissa closes in
As we’ve been reporting, Jamaica is bracing for the imminent landfall of Hurricane Melissa, a Category 5 storm and one of the strongest Atlantic hurricanes in history.
Melissa’s eyewall, where the hurricane’s strongest winds are located, has already started to move into the country.



"We know what's coming and we feel we are ready," Kingston resident says
Vulnerable communities across Jamaica have been evacuated for their safety, but others are hunkering down at home as they brace for Hurricane Melissa’s landfall.
One of those Kingston residents staying home is Mateo Avalle Piber, whose mountainside house is around 10 km from the ocean, he says.
The Kingston resident said Jamaicans feel as prepared as they can be for what lies ahead, adding that information shared by government officials has been helpful. He cited a live stream used to tackle queries and concerns as a useful tool.
“We made sure we have sufficient water for at least a week…we’re making sure we have the amount of food cooked and ready in case the power goes out,” Piber added.
“Last chance to protect your life,” National Hurricane Center warns Jamaicans
In its latest update, the National Hurricane Center warned Jamaicans that this is the “last chance” to protect their lives, as the island braces for the “catastrophic winds” of Hurricane Melissa.
The NHC warned that failure to take shelter could lead to serious injury and death.
In the same warning, the NHC said Melissa is continuing to strengthen, with maximum sustained winds of 185 mph (295 kmh).
Melissa's pressure is nearly unprecedented
Melissa had a pressure reading at its center of 892 mb at 10 a.m. ET, according to the National Hurricane Center. Pressure is another data point, in addition to wind speed, that forecasters use to tell how strong a storm is: The lower the pressure, the stronger the storm.
Melissa’s pressure drop places it in rare company. Only two Atlantic hurricanes have ever had a lower pressure.
- Wilma, 2005, 882 mb
- Gilbert, 1988, 888 mb
- Melissa, 2025, 892 mb
- Milton, 2024, 895 mb
- Rita, 2005, 895 mb
Melissa’s 185 mph sustained winds also mean it is tied as the second-strongest hurricane in Atlantic history, in terms of wind speed.



