Amanpour
16 videos

Video Ad Feedback
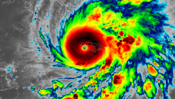
'It's going to get worse': Jamaicans brace for disaster as Hurricane Melissa makes landfall

Video Ad Feedback
'This is fundamentally a war against civilians in Sudan': Inside the world's worst humanitarian crisis

Video Ad Feedback
'Hurricanes don't just take lives, they ruin lives': Meteorologist reacts to Melissa

Video Ad Feedback
Sanctions on Russian oil ‘crucial’ to getting Putin's attention, says former US ambassador to NATO

Video Ad Feedback
Trump's soybean diplomacy: ‘The president is resolving a crisis he helped create’

Video Ad Feedback
How journalism was a 'catalyst for change' in Egypt

Video Ad Feedback
Annie Lennox: ‘Female performers have often drawn on their male power to have that strength on stage’
Video Ad Feedback
Pope praying with King 'a sign that divisions don't have the last word'

Video Ad Feedback
Relations between Colombia and US ‘absolutely dire’, says expert

Video Ad Feedback
'The stink of impropriety seems to be lingering over all of this': Legal expert on Trump demand for DOJ compensation

Video Ad Feedback
‘People need to see the reality on the ground’: ‘No Other Land’ co-directors on the US self-release of their film

Video Ad Feedback
Jens Stoltenberg: Lack of military support to Ukraine in 2014 was a 'big mistake'

Video Ad Feedback
Trump should give Ukraine Tomahawks with conditions, says former US envoy

Video Ad Feedback
Hamas 'playing games’ with remains of dead hostages, says veteran diplomat








