-
Deadliest day in Gaza since ceasefire as Israel launches wave of strikes, accusing Hamas of breaching truce -
Louvre heist suspects have admitted involvement in jewels theft
-
Largest ever police raid in Rio de Janeiro leaves at least 132 dead, public defender’s office says
-
Ukraine says it killed Russian officer in Siberia using car bomb
-
Nigeria’s Nobel-winning author Wole Soyinka says his US visa was revoked
-
Western intelligence says Iran is rearming despite UN sanctions, with China’s help
-
French first lady Brigitte Macron plagued by ‘deep anxiety’ over false claims she’s a man, daughter reveals -
Netanyahu says Hamas violated Gaza ceasefire by returning remains not linked to missing hostages
-
Suspects arrested over brazen jewel theft from Paris’ Louvre museum
-
11 killed in Kenya plane crash while en route to Maasai Mara National Reserve
-
An American journalist vanished in Syria 13 years ago. His mother never stopped searching for him
-
With a new leader – and Trump in town – Japanese families whose loved ones were abducted by North Korea have fresh hope
-
Why has ICE detained British commentator Sami Hamdi on his US speaking tour?
Around the world
-
The son of a British duke is selling his estate — a wildlife charity wants to buy it for $40M -
Lithuania closes border with Belarus after multiple balloons violate airspace
-
UN report accuses Russia of war crimes in drone warfare and forcible transfer of civilians
-
Britain’s King Charles heckled over brother Prince Andrew’s ties to Jeffrey Epstein
-
Ten people stand trial in France accused of cyberbullying first lady Brigitte Macron
-
Inside the Louvre heist that stunned the world
-
Trump’s babysitting of Netanyahu puts the US in charge on Gaza
-
UN’s top court rebukes Israel over Gaza aid restrictions during war
-
Oldest hostage taken by Hamas among two deceased returned to Israel Tuesday
-
Israel identifies body of deceased hostage as Sergeant Major Tal Haimi
-
Twelfth deceased hostage identified after 2 returned to Israel overnight, kibbutz says
-
Yemen’s Houthi rebels detain 20 UN employees and confiscate equipment
Ad Feedback
-
Bloodbath feared as rebels trap thousands in Sudan city. How did we get here and what might come next? -
The solar-powered compact car driving Tunisia’s electric vehicle revolution
-
World’s oldest head of state, Cameroon’s 92-year-old Paul Biya, wins re-election
-
Polls open in Ivory Coast as incumbent Ouattara seeks a fourth term amid a weakened opposition
-
Mexican journalist who covered drug cartels found dead on highway with note next to body -
Victory for Milei’s party in Argentina midterms seen as test for his austerity cuts and Trump support
-
US Navy’s ‘most lethal combat platform,’ the carrier USS Gerald R Ford, is being sent to the Caribbean
-
US sanctions Colombian president
-
Helicopter crashes during rescue amid unseasonably heavy snowfall that halts Everest tourism in Nepal, Tibet
-
Flights between India and China finally resume after five-year hiatus
-
Japan’s new prime minister faces her biggest test yet: Meeting Trump
-
The young tycoon accused of masterminding a multibillion-dollar international fraud network
Featured
-
He declared himself the youngest ‘president’ in the world. Then he was deported -
The best travel shoes, tested by experts for comfort, style and versatility
-
La Dolce Vita Orient Express: 24 hours on board Italy’s new luxury train
-
The magical white stone wonderland with effervescent bathing pools
-
7 of the world’s freakiest places
-
Is that you baby, or just a brilliant disguise? Dressing Jeremy Allen White as Bruce Springsteen -
Donning a fake bump, a photographer blurs fiction and reality in an intimate exploration of motherhood
-
Miss USA crowns Nebraska’s Audrey Eckert the winner as scandal-hit pageant heralds ‘new era’
-
Everything we know about Royal Lodge, Prince Andrew’s 30-room mansion in Windsor
-
Why ‘India’s Picasso’ is breaking auction records — and enraging the Hindu right
-
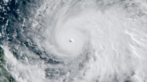
Cuba is staring down a direct hit from Melissa. Here’s what to expect -
Hurricane Melissa is now a rare Category 5 storm as it closes in on a historic, catastrophic landfall in Jamaica
-
Jamaica could face days of hurricane conditions as Melissa set to rapidly intensify in the Caribbean
-
Melissa is forecast to become a major hurricane. It could be a worst-case scenario for Jamaica
-
Melissa is now forecast to become a major hurricane as it trends toward a concerning track
More of the latest stories
-
How to help Hurricane Melissa victims -
Meet five inspiring people who found unique ways to help others -
• Video 0:35Video Flash floods hit eastern Cuba overnight 0:35 -
Elderly woman found dead on tropical island after cruise ship leaves without her -
Whatever the outcome, the Xi-Trump meeting is a win for China -
• Video 3:05Video 2,500 police involved in operation against major gang 3:05 -
• Video 0:46Video Trump gets gold crown from South Korea 0:46 -
• Video 2:01Video Elex Michaelson reports on top news from around the world 2:01 -
• Video 4:28Video Documentarian in Jamaica describes its strongest-ever hurricane 4:28 -
• Video 2:43Video Jamaican Prime Minister Andrew Holness provides an update after Hurricane Melissa plows across the island 2:43 -
• Video 3:25Video Family with five children under age 5 stranded in Jamaica as Hurricane Melissa hits: ‘We’re very scared for the little ones’ 3:25 -
• Video 5:21Video ‘I know this is a lie’: Austin Tice family spokesman responds to ex-Syrian General telling CNN ‘Austin is dead’ 5:21
Something Extra
-
Step inside Zooey Deschanel and fiancé Jonathan Scott’s maximalist Manhattan home -
Meet the female architect making history at the Metropolitan Museum of Art
-
‘Sponge city’ architect Kongjian Yu among 4 killed in Brazil plane crash
-
Building a modern metropolis using a centuries-old technique
-
Wind turbines are tough to recycle. These architects are transforming them into micro homes
-
This injury has plagued MLB for most of the last century, but a new phenomenon is emerging -
Vladimir Guerrero Jr.’s 2-run HR off Shohei Ohtani helps Blue Jays even World Series at 2-2 against Dodgers
-
Michael Jordan disapproves of ‘load management’ in today’s basketball and 3 things you missed from Tuesday’s NBA action
-
From homegrown to home runs, Vladimir Guerrero Jr. is the Toronto Blue Jays’ postseason hero heading into the Fall Classic
-
Big names to be traded before deadline? Start of late charge in Baltimore? QB uncertainty in Minnesota? NFL Week 8 takeaways
-
The world’s most valuable company just blew through an unprecedented milestone -
After a wave of lawsuits, Character.AI will no longer let teens chat with its chatbots
-
The world’s most valuable public company just laid out its vision for the future
-
Elon Musk launches his version of Wikipedia
-
How a tiny bug spiraled into a massive outage that took down the internet












